שניאור דייטש | יום ז' חשוון ה׳תשפ״ו 29.10.2025

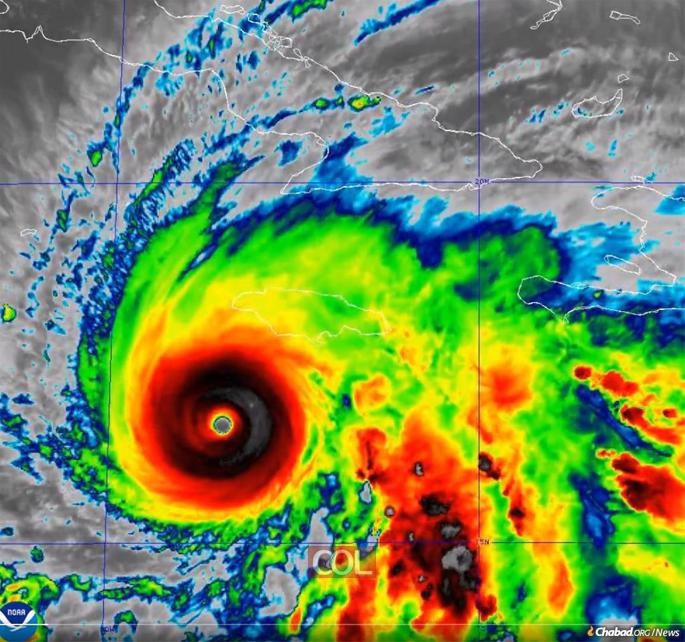
בחב"ד ג'מייקה נערכים לסופה הקשה בהיסטוריה: הוריקן רמה 5

בעוד השלטונות מפנים תושבים והאי נכנס לכוננות חירום, השלוחים הרב יעקב ורעייתו חיה רסקין במונטגו ביי נשארים במקום כדי לסייע לכל יהודי ונזקק | "כל עוד יש אפילו יהודי אחד בג'מייקה, אנחנו כאן בשבילו. זה עוד ניסיון של הקב"ה, הוא לא עוזב אותנו לרגע", אומר שליח חב"ד הרב רסקין ומחזק את התושבים
בחב

באדיבות אתר חב"ד.אורג

הוריקן מליסה, המוגדר כסופה בדרגה 5 והחזקה ביותר שאיימה אי פעם על ג'מייקה, מתקרב לחופי האי וצפוי להכות היום, שלישי. נתיבי טיסות נסגרו ותהליכי פינוי החלו, אך בבית חב"ד במונטגו ביי, השלוחים הרב יעקב וחיה רסקין מתכוננים להישאר לעמוד במקום ולשמש משענת עבור הקהילה. "כל עוד יש אפילו יהודי אחד בג'מייקה, אנחנו חייבים להיות כאן בשבילו", מדגיש הרב רסקין.

הזוג רסקין, הפועל שליחות באי מאז תשע"ד, מכיר מקרוב את עוצמתן של הסופות. רק בשנה שעברה התמודדו עם הוריקן בריל בדרגה 4. אז, הוביל בית חב"ד מבצע סיוע נרחב שכלל חלוקת גנרטורים, מים ומזון למאות תושבים שנפגעו. "ספגנו נזקים של שלושים אלף דולר, אבל זו הייתה בעיה של עשירים מול אנשים שאיבדו את בתיהם", מספר הרב.

כעת, בשעות שלפני הסופה החדשה, ההיערכות במרכז חב"ד מגיעה לשיא: 5,000 גלוני מים, כמויות מזון גדולות, מיטות ושקי חול הוכנסו למקום כדי לאפשר מחסה בטוח לכל מי שיזדקק. שלושה משטחי מזון שהוזמנו לראש השנה והתעכבו בדרכם הופיעו לפתע ביום שישי האחרון. "זה לא פחות מנס", אומר הרב רסקין.

מליסה נעה באיטיות מסוכנת, רק שלושה מייל בשעה, מה שעלול לגרום לנזקים קשים מרוחות ממושכות, גלי סערה ושיטפונות. "אנחנו פונים לכל אנשי הקשר, לוודא שכולם מחוברים ונגישים", הוא מוסיף. "אנחנו עושים כל מה שביכולתנו".

במהלך הלילה התארגנו מתנדבים רבים, סגרו חלונות, חיזקו קירות והוסיפו שכבות הגנה ברחבי המתחם. "פנינו לדוא"ל של עשרת אלפים אנשי קשר שיתפללו למען ג'מייקה", מספר הרב. "וחמותי נסעה להתפלל באוהל, מקום מנוחתו של הרבי".

רסקין מציין קשר רוחני מפתיע לזמן: פרשת השבוע האחרונה עסקה בסיפור נח והתיבה, והמרכז במונטגו ביי נקרא לא בכדי "מרכז התיבה". לצד הצטיידות פיזית, הוא בונה גם ארון קודש חדש ומחזק את רוח הקהילה בימים מאתגרים אלו.

אנשים כבר הגיעו אל מרכז חב"ד עם חפציהם ואף עם חיות מחמד, בתקווה למצוא בו מחסה. במקום נשמרים גם 500 גלוני סולר, טלפונים לגיבוי וסוללות למקרה של ניתוק ממושך.

"אנחנו שליחי הרבי כאן בג'מייקה", מדגיש הרב רסקין. "האחריות שלנו היא לכל יהודי ולא יהודי באי. אנחנו מתכוננים לגרוע מכל ומקווים לטוב ביותר. הקב"ה מנהל את העולם, ותפקידנו הוא להיערך ככל יכולתנו ולבטוח שהוא יעשה את השאר".

הרב רסקין בדברי חיזוק לקהילתו:

הוסף תגובה
0 תגובות
נצפה באתר
עוד באתר
 
העלאת תמונה
x
גרור תמונה לכאן
או
העלה תמונה
ביטול
תייג
טוען תמונות...
שגיאה!
    אישור
    מעלה תמונות...
    התמונות הועלו בהצלחה
    ויפורסמו לאחר אישורן
    התמונות תויגו בהצלחה
    ויוצגו במערכת התמונות
    המשך
    מתוך
    x
    תודה שנרשמת!
    מבטיחים לשלוח רק את הדברים הכי מעניינים :)
    x
    עדכון הנתונים נשמר בהצלחה!
    מבטיחים לשלוח רק את הדברים הכי מעניינים :)
    x
    קיבלנו את בקשתך, לא נשלח יותר הודעות...
    באפשרותך תמיד להתחבר חזרה ולהינות מהעדכונים המעניינים ביותר.